२०८३ बैशाख १७ गते बिहिवार
pressadda@gmail.com
Preeti To Unicode
Headlines
News
Religion / Culture
Entertainment
International
Today’s horoscope
Entertainment
Religion / Culture
Health
Technology
TRENDING
daily horoscope
Horoscope
Results
राशिफल
Gold Price
#Rastriya Swatantra Party (RSP)
Gold and Silver Prices
financial horoscope
Tribhuvan University
Sushila Karki
PressAdda
Madhya Pradesh Bus Accident Update : मध्य प्रदेश में एक बस नदी में गिरने से 15 लोगों की मौत
priyanka chopra met gala dress : ‘मेटगाला–२०२३’ में 204 करोड़ का नेकलेस पहनकर Priyanka पहुंचीं
Asia Cup cricket may be shifted from Pakistan
Punjab Kings vs Knight Riders : कोलकाता ने आखिरी गेंद में पंजाब पर रोमांचक जीत दर्ज की
Horoscope Rashifal Today, 9 May 2023: मंगलवार के दिन इन 5 राशियों पर भगवान हनुमान की बरसेगी कृपा, जानें आज का राशिफल
फिल्म The Kerala Story भारत में आप केवल इन राज्यों में देख सकेंगे, इस राज्य ने भी लगाया इस फिल्म पर प्रतिबन्ध
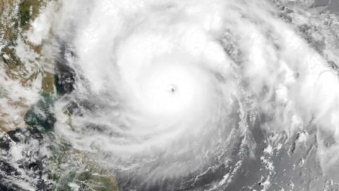
Weather Forecast LIVE: Cyclone Mocha को लेकर अलर्ट जारी, इन राज्यों में असर
नेपाल का मनकामना मंदिर में भारत के श्रद्धालुओं के साथ मारपीट
Aaj ka Love Rashifal 9 May 2023: इन राशियों के लिए आज का दिन खुशियों से भरा रहेगा
शर्ट खोलते ही सामने आई सलमान खान के एब्स की असलियत, वीडियो में खुला राज
Lionel Messi returned to training after suspension lifted
पाकिस्तान के विदेश मंत्री के भारत जाने पर भी द्विपक्षीय वार्ता क्यों नहीं हुई ?
Posts pagination
Previous page
1
…
161
162
163
…
284
Next page